Home\Real Estate\Search Results\0 N Berthe, Panama City, FL 32404

0 N Berthe, Panama City, FL 32404

#780682

RES

0/0

$115,000

Details

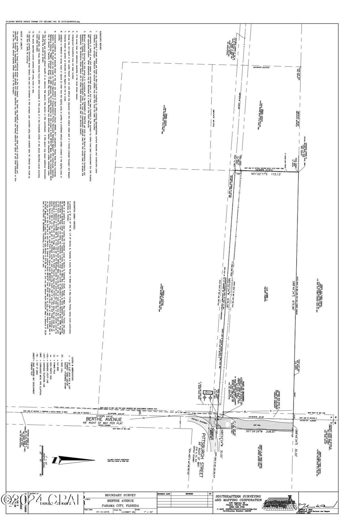
3.15 Acres located at the curve of Pittsburgh and Berthe. Great location being unincorporated to allow farm animals, bring your horses! The property is next to a power line easement allowing that area to possibly be used for additional riding. Eligible for mobile home or new construction build. The county has also granted the gravel portion of the road to the seller making the parcel a bit larger. Dead End street and no neighbors behind you. Endless possibilities at this location! Please inquire for more information. All to be verified by prospective buyer. Survey available from purchase.
GENERAL
Real Estate Type RES
Full Bathrooms 0
Half Bathrooms 0
One Quarter Bathrooms 0
Three Quarter Bathrooms 0
Lot Size 3
Real Estate Sub Type UnimprovedLand
Stories 0
Lot Size Units Acres
Lot Size Area 3
Lot Size Dimensions 660 x 300
Agent Key 27,028,254
Agent MLS Id B1100
Office Key 5,952,084
Source System Name Central Panhandle Association of REALTORS®
Source System Id TRESTLE
Office Phone 850-233-4351
Agent Url http://www.coraleerealtor.com
Elevation 0
Parcel Number 06205-070-000
Number Of Units Total 0
Tax Legal Description 7 4S 13W -157.7- 131C1 ST A B DEV CO PLAT BEG AT NE COR EST BY FINAL JUD ORB 1454 P 1167 TH W 676.58' TO E LINE OF ORB 1473 P 1582 TH N 173.13 TO S R/W GP CO R/W TH E 675.86' E 30 S 207.39' W 30' TO POB ORB 4061 P 1945
Special Listing Conditions ListedAsIs
Internet Address Display True
Internet Automated Valuation Display True
Agent Name K. Coralee King-Denmark
Agent Email [email protected]
Agent Cell 850-252-5744
Agent Office 850-233-4351
Broker Id BBBI
Office Name Beachy Beach Real Estate
Listing Contract Date 10/20/2025
Square Feet 0
Days On Market 1
Status Active
BUILDING
Fireplace False
Parking Total 0
Utilities SewerAvailable
WaterAvailable
Private Pool False
Spa False
LOCATION
Subdivision No Named Subdivision
Directions On Hwy turn onto N Berthe
at the curve on left
County Bay
Waterfront False
SCHOOLS
Elementary School Callaway
Middle School Everitt
High School Rutherford

Questions