Home\Real Estate\Search Results\6000 W Nine Mile Road, Pensacola, FL 32526

6000 W Nine Mile Road, Pensacola, FL 32526

#775951

LND

$998,750

Details

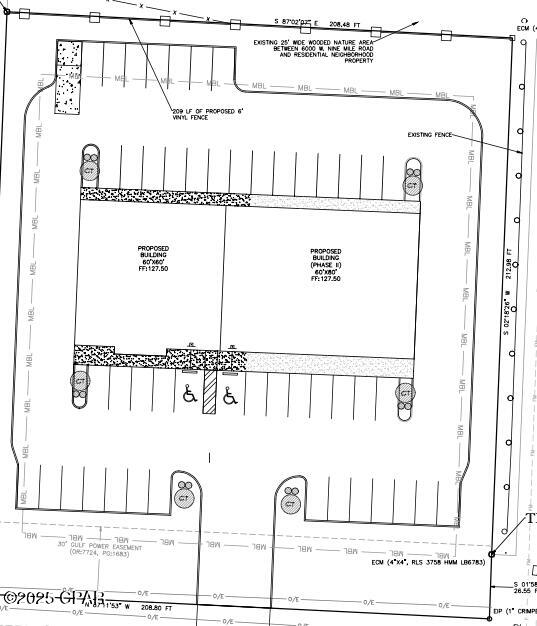
This is a prime location in exploding Beulah Business District. Hard Corner Positioned Property on Nine Mile Road. The property is just west of Navy Federal Credit Union and Interstate 10. This property is surrounded by residential rooftops and commercial users. DEVELOPEMENT PLANS FOR A MEDICAL OFFICE HAS BEEN APPROVED.  1.15 acre  Zoned LDMU development potential property  Complete site and building plans for 3600 or 8400 sq ft office space  Located in booming area of growth  Property is just west of Navy Federal Credit Union and I-10  Prime position and exposure FLDOT traffic records 24,000 AADT in 2024
GENERAL
Real Estate Type LND
Full Bathrooms 0
Half Bathrooms 0
One Quarter Bathrooms 0
Three Quarter Bathrooms 0
Lot Size 1
Real Estate Sub Type Commercial
Stories 0
Lot Size Units Acres
Lot Size Area 1
Agent Key 27,029,055
Agent MLS Id B1420
Office Key 5,952,142
Source System Name Central Panhandle Association of REALTORS®
Source System Id TRESTLE
Office Phone 850-238-9031
Agent Url http://www.WWW.MMKTOPSELL.COM
Elevation 0
Parcel Number 000-000-0000
Number Of Units Total 0
Tax Legal Description For full legal description SEE ATTACHED!
Internet Address Display True
Internet Automated Valuation Display True
Agent Name Rhonda R Santora
Agent Email [email protected]
Agent Cell 850-238-9031
Agent Office 850-238-9031
Broker Id BP8261
Office Name MMK Topsell Properties LLC
Listing Contract Date 7/7/2025
Square Feet 0
Days On Market 66
Status Active
LOCATION
Subdivision No Named Subdivision
Directions west on Interstate 10 take Exit 15 and then turn left 2 miles. Property will be ahead on the right. It is directly across from the new Beulah Middle School
and on the hard corner of Nine Mile Road and Allegheny Avenue.
County Escambia
Waterfront False
BUILDING
Fireplace False
Parking Total 0
Private Pool False
Spa False

Questions