Home\Real Estate\Search Results\3361 Old Greenwood Road, Marianna, FL 32446

3361 Old Greenwood Road, Marianna, FL 32446

#759385

RES

0/0

$950,000

Details

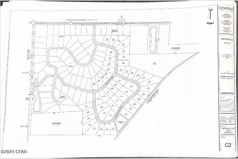
CALLING ALL INVESTORS! This is an amazing opportunity to invest in a proven Subdivision! This is proposed Greenfield Phase III, which contains 74 Acres MOL, that has the potential to yield more than 75 residential lots similar to Greenfield Phases I & II! Greenfield Phases I & II have completely sold out at an average price of 25K each!! That's an approximate value of $1.8 MIL! There is even more value depending on how YOU decide to plat the 74 Acres MOL. We have a preliminary Plat of Phase III, plus many other plans and details of different aspects of the infrastructure. This is an amazing opportunity! According to Jackson County Planning and Zoning, Phase III will have to be re-platted and re-submitted for approval. At this time, the new developer can re-plat however they would like, and create a new set of Covenants and Restrictions to be submitted for approval to the City of Marianna.
GENERAL
Real Estate Type RES
Full Bathrooms 0
Half Bathrooms 0
One Quarter Bathrooms 0
Three Quarter Bathrooms 0
Lot Size 74
Real Estate Sub Type UnimprovedLand
Stories 0
Lot Size Units Acres
Lot Size Area 74
Lot Size Dimensions Irregular
Agent Key 27,029,067
Agent MLS Id B7561
Office Key 5,952,333
Source System Name Central Panhandle Association of REALTORS®
Source System Id TRESTLE
Office Phone 850-693-4127
Elevation 0
Parcel Number 25-5N-10-0000-0090-0000
Number Of Units Total 0
Tax Legal Description NW1/4...DB 473 P 439...LESS RTWY PER OR 427 P 58
62 OR 495 P 499 OR 536 P 720 (See outline in Photos for approximate boundaries this Listing pertains to)
Special Listing Conditions ListedAsIs
Internet Address Display True
Internet Automated Valuation Display False
Agent Name Serena L Wise
Agent Email [email protected]
Agent Cell 850-573-6062
Agent Office 850-693-4127
Broker Id MRGP
Office Name Maphis Realty Group
Square Feet 0
Listing Contract Date 6/24/2024
Status Active
BUILDING
Fireplace False
Parking Total 0
Other Structures Outbuilding
Utilities SewerAvailable
WaterConnected
Private Pool False
Spa False
LOCATION
Subdivision No Named Subdivision
Directions From Hwy 71 and Hwy 90 in Marianna travel north for 3.5 miles
turn left and travel .3 miles and turn left onto Old Greenwood Road. Property is .3 miles on the right.
County Jackson
Waterfront False

Questions